25 Febrero 2011
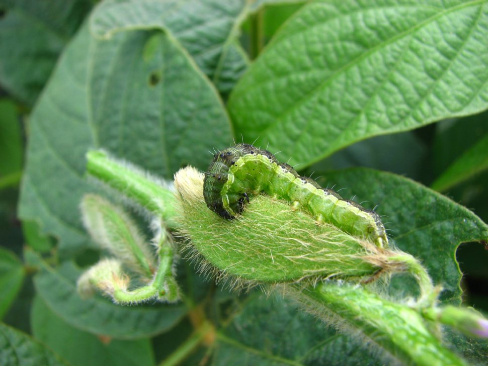
PERJUICIOS. La oruga daña los brotes terminales de las plantas. EEAOC
La soja está siendo afectada por la "oruga bolillera" Helicoverpa gelotopoen, que se presentó en forma generalizada en gran parte del área de Tucumán, en estadios de desarrollo tempranos del cultivo de la soja (desde V2-V3), ocasionando daños en "brotes terminales" que afectaron en grado variable la estructura del cultivo, manifestaron técnicos de la Sección Zoología Agrícola de la Eeaoc. En general, atacaron a sojas de diferentes grupos de madures, pero los daños de mayor magnitud se registraron en los "grupos cortos".
Los ataques más importantes de esta oruga se presentaron en el sur de la provincia, obligando a realizar numerosas aplicaciones para su control. A esta situación se le sumó un período con escasas precipitaciones, que fue en detrimento del normal desarrollo del cultivo e intensificó los daños producidos por esta oruga. Los mejores resultados para el control, en las primeras etapas de crecimiento de la soja, radicaron en un correcto monitoreo e identificación del problema, determinando la elección del insecticida y la dosis adecuada.
Además, se deben tener presente aspectos vinculados a la calidad de aplicación del insecticida, como ser tipo de pastilla a utilizar, presión de trabajo y condiciones ambientales. En las zonas donde la soja sufrió fuertes ataques de "oruga bolillera" , pueden manifestarse nuevos ataques en etapas de llenado del grano, donde el afecto del daño es sobre el rinde del cultivo, ya que las larvas se alimentan de los granos en formación.
Por otro lado, como se informó la semana pasada, se observaron muchos daños del complejo de "orugas defoliadoras" que está constituido por Anticarsia gemmatalis y las "orugas medidoras" (Rachiplusia nu y Pseudoplusia includens). Estas orugas incrementaron su densidad a partir de fines de enero y principios de febrero, donde la soja se encuentra en estados vegetativos avanzados y reproductivos iniciales. Precipitaciones con una alta frecuencia a partir de fines de enero y durante gran parte de febrero, dificultaron el monitoreo, y retrasaron las aplicaciones de insecticidas. En la última semana de febrero, el nivel de "orugas medidoras" comenzó a disminuir, sin observarse nuevas camadas de larvas.
Los ataques más importantes de esta oruga se presentaron en el sur de la provincia, obligando a realizar numerosas aplicaciones para su control. A esta situación se le sumó un período con escasas precipitaciones, que fue en detrimento del normal desarrollo del cultivo e intensificó los daños producidos por esta oruga. Los mejores resultados para el control, en las primeras etapas de crecimiento de la soja, radicaron en un correcto monitoreo e identificación del problema, determinando la elección del insecticida y la dosis adecuada.
Además, se deben tener presente aspectos vinculados a la calidad de aplicación del insecticida, como ser tipo de pastilla a utilizar, presión de trabajo y condiciones ambientales. En las zonas donde la soja sufrió fuertes ataques de "oruga bolillera" , pueden manifestarse nuevos ataques en etapas de llenado del grano, donde el afecto del daño es sobre el rinde del cultivo, ya que las larvas se alimentan de los granos en formación.
Por otro lado, como se informó la semana pasada, se observaron muchos daños del complejo de "orugas defoliadoras" que está constituido por Anticarsia gemmatalis y las "orugas medidoras" (Rachiplusia nu y Pseudoplusia includens). Estas orugas incrementaron su densidad a partir de fines de enero y principios de febrero, donde la soja se encuentra en estados vegetativos avanzados y reproductivos iniciales. Precipitaciones con una alta frecuencia a partir de fines de enero y durante gran parte de febrero, dificultaron el monitoreo, y retrasaron las aplicaciones de insecticidas. En la última semana de febrero, el nivel de "orugas medidoras" comenzó a disminuir, sin observarse nuevas camadas de larvas.
NOTICIAS RELACIONADAS
Lo más popular





















